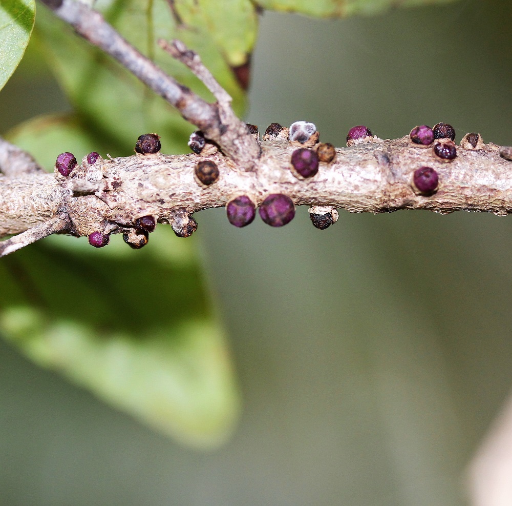
APODANTHACEAE
![]()
Endemic
© Dr Paul Berry
© Dr Paul Berry
© Dr Paul Berry
Flowering time; Most of the year
Distribution; GC, CB, LC
Habitat; Parasitic plant
Status; Smallest of its family
Notes; Beside the Cayman Islands, it is otherwise found in Jamaica and Mexico. It is closely related to Rafflesia arnoldii one of the largest flower known. A giant red Rafflesia flower can weigh up to 9 kg and reach 1 m in diameter. Rafflesia arnoldii / corpse flower is found in the rain forests of Indonesia. Often called "Corpse flower" because when it opens, it smells like rotting meat. After a blooming for two or three days it will begin to die off.
